click for larger imageclick for larger imageclick for larger imageclick for larger imageclick for larger image


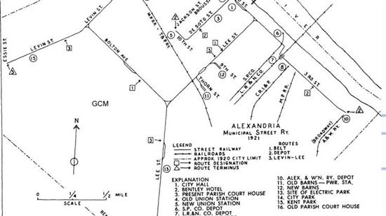
Kent Park, Alexandria, Louisiana. A Trolley Park.